根據城市發展環境變化并結合片區用地實際,為滿足發展需要,對已編制控規進行局部、技術性調整優化動態維護,同時編制擬開發建設用地地塊圖則。該控規動態維護及局部地塊控規論證方案已經專家和部門技術評審通過,依據《福建省城市控制性詳細規劃管理暫行辦法》以及《福建省城鄉規劃信息公開公示暫行辦法》,現將惠安縣域2025年度控規動態維護及局部地塊控規(第二批次)方案予以審批前公示,征求控規地塊內相關利害關系人的意見。公示時間:2025年7月21日至2025年8月20日。在公示期內,您可以來電、來信、來訪的形式向惠安縣自然資源局反映情況,發表意見和建議。
公示內容:1.調整前控規土地利用規劃圖
2.調整后控規土地利用規劃圖
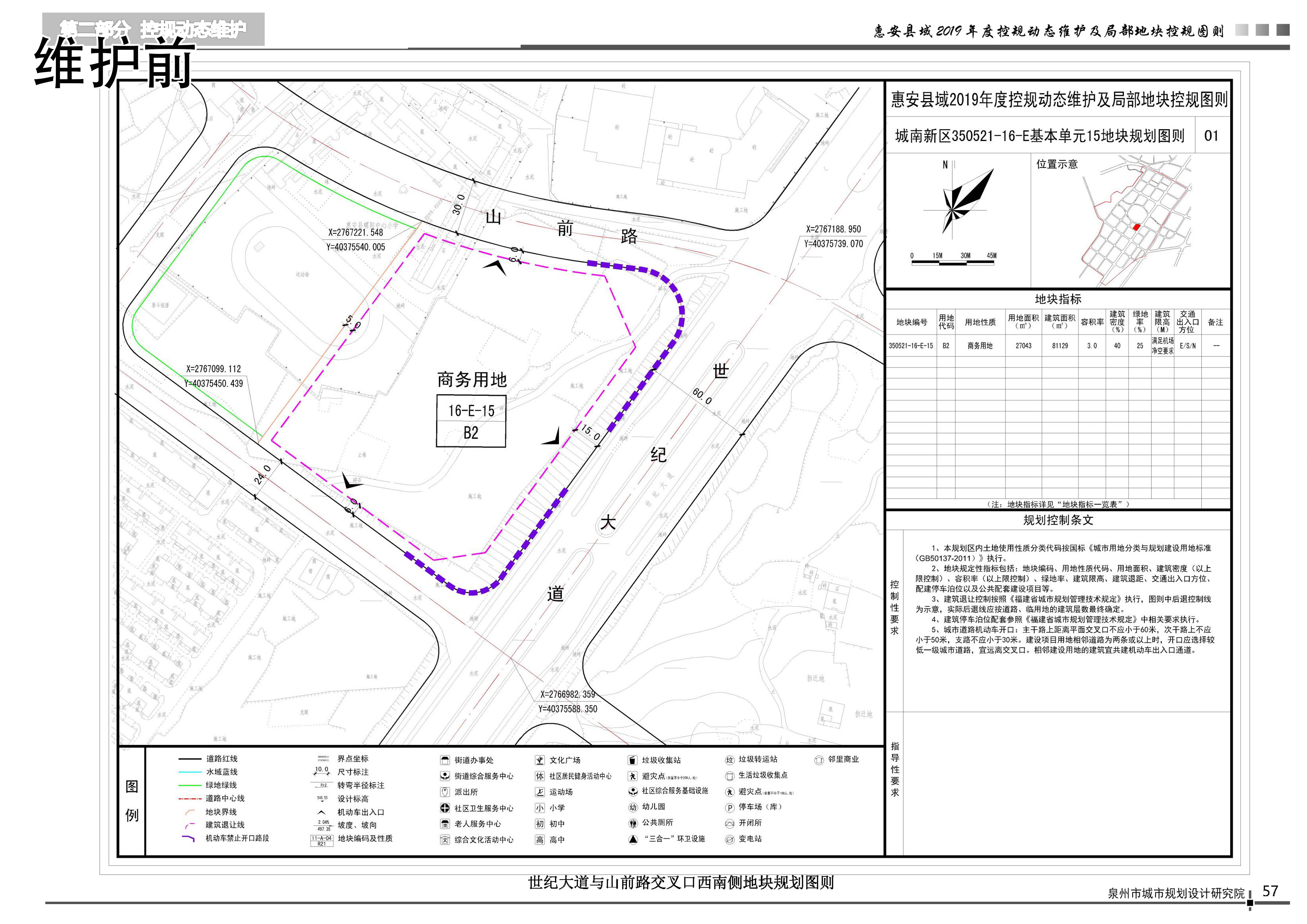
3.局部地塊控規
公示地點:1.縣自然資源局三樓公示欄
2.惠安縣人民政府網站
網址:www.xueqing.cc
公示電話:0595-87310221
來訪來電時間:公示期間工作日每天上午8:00-12:00
下午3:00- 6:00
接待處:惠安縣自然資源局規劃技術站
來信投遞:惠安縣自然資源局(郵政編碼:362100)






















惠安縣自然資源局
2025年7月21日
掃一掃在手機上查看當前頁面


閩政通APP
閩公網安備:35052102000001號

